Aula Gerión

Asociación para la defensa del Patrimonio Histórico - Sanlúcar de Barrameda (Cádiz)


 

Conjunto Monumental

Casa Arizón

Siglos XVII - XVIII

 

 

En esta sección iremos incluyendo toda la información disponible sobre la Casa Arizón. Una larga crónica que narra la acelerada degradación de este excepcional Conjunto Monumental andaluz, cuya lamentable destrucción comenzó hace ahora 20 años.

 

       1989:  Ramón Tamames compra Casa Arizón

 

Rodeada de gran polémica, en 1989 las 3/4 partes de la Casa Arizón fue adquirida a la familia Arizón por la empresa DAINURSA -Desarrollo Agrario, Industrial y Urbano, S.A.-, constituida en Madrid en 1988 y compuesta por tres socios, entre ellos el conocido economista Ramón Tamames y el arquitecto Javier Olaciregui Arrieta, Presidente, Consejero Delegado y Representante de la entidad propietaria hasta hoy.

Poco después, en el mismo 1989, se hace con la totalidad de la finca la recién constituida CASA GRANDE ARIZÓN, S.A., cuyo nombre se ha mantenido hasta la actualidad.

 

1989 -  La polémica compra de Arizón

En 1988 el Ayuntamiento de Sanlúcar, regido por el socialista Manuel Vital Gordillo, había mostrado interés en expropiar el Conjunto Arizón para destinarlo a usos culturales. De hecho, desde la Delegación de Cultura se inició Expediente ante la Consejería de Cultura para la incoación y posterior Declaración del inmueble como Bien de Interés Cultural (B.I.C.) Sin embargo, se le adelantó DAINURSA (Ramón Tamames, entonces diputado del CDS en Madrid), que finalmente se hizo con la finca.

IU-CA y especialmente su concejala, Julia Hidalgo de Argüeso, vinculó esta adquisición al CDS –Centro Democrático Social- al posible tráfico de influencias ejercido por algunos componentes de este partido en el gobierno municipal de Sanlúcar, como José Gómez Villegas, entonces Delegado de Turismo; y Carlos Lucas García, Delegado de Cultura. A este grupo también pertenecía Fermín Vázquez, Delegado de Vivienda, quien dimitió poco después.

La cuestión fue ampliamente debatida en los Plenos Municipales y en los medios de comunicación.

1989: El Asunto Tamames en Madrid

 

El mismo año que compra la Casa Arizón, la empresa Dainursa se vio envuelta en un escándalo urbanístico en Madrid, que se denominó "Asunto Tamames", por ser el economista, entonces Concejal del CDS en el Ayuntamiento madrileño al mismo tiempo que accionista de Dainursa, cuya sede social se localizaba en el propio despacho de Ramón Tamames.

 

El caso estuvo relacionado con la adquisición por parte de Dainursa del inmueble "Cava Baja, 30", afectado por un expediente de ruina, que esta empresa compró a un precio tres veces más bajo que el ofrecido por el propio Ayuntamiento de Madrid.

 Recopilación Prensa:

 

http://www.elpais.com/articulo/madrid/Desalojados/inquilinos/edificio/comprado/empresa/socio/Tamames/elpepuespmad/19890901elpmad_2/Tes

http://www.elpais.com/articulo/madrid/PSOE/emplaza/Rodriguez/Sahagun/aclare/ampara/infraccion/Tamames/elpepuespmad/19890922elpmad_4/Tes

http://www.elpais.com/articulo/madrid/Larroque/afirma/Dainursa/tenia/sede/social/oficina/Ramon/Tamames/elpepuespmad/19890929elpmad_5/Tes

http://www.elpais.com/articulo/madrid/Ayuntamiento/oferto/130/millones/Cava/Baja/triple/pagado/oficialmente/Dainursa/elpepuespmad/19891212elpmad_3/Tes

 

 

1989 - El Conjunto Monumental Arizón es incoado como Bien de Interés Cultural

 

(El Semanal, 03/03/89)

 

 

 

 

1989 - IU-CA presenta una moción para que se expropie a DAINURSA la Casa Arizón y convertirla en símbolo emblemático de la Cultura en Sanlúcar (El Semanal, 21/04/89)

La moción de IU-CA no prosperó (El Semanal, 23/06/89)

 

 

Ramón Tamames niega tráfico de influencias en la compra de Arizón (El Semanal, 30/06/89)

 

 

Julia Hidalgo y José Gómez Villegas (representante legal de la empresa y Concejal Delegado de Turismo) debaten sobre la venta de Arizón

 

(El Semanal, 30/06/89)

 

Tamames afirma que Arizón será un Parador Nacional (El Semanal, 01/09/89)

 

Curiosamente, en la noticia de El País, donde se relaciona a Ramón Tamames con el inmueble de Cava Baja, 30 en Madrid, Tamames afirma que se había desvinculado de la empresa DAINURSA el 31 de julio de 1989 ("El 31 de julio, coincidiendo con mi incorporación al Consorcio de Madrid 92, di órdenes a mis abogados para que desvincularan mi patrimonio de Dainursa y de otras sociedades inmobiliarias. El alcalde está al tanto") Al parecer, esta desvinculación no se llevó a cabo, pues ¿Cómo es posible entonces que Tamames presentase, en Sanlúcar, en Septiembre y Diciembre de 1989, el proyecto de un Hotel-Parador para la Casa Arizón, en nombre de la misma empresa DAINURSA?

Véase declaraciones de Tamames en El País:

http://www.elpais.com/articulo/madrid/Desalojados/inquilinos/edificio/comprado/empresa/socio/Tamames/elpepuespmad/19890901elpmad_2/Tes

 

 

A finales de 1989 Ramón Tamames presentó un Proyecto elaborado por DAINURSA para rehabilitar el Conjunto de Árizón como Hotel-Parador. Afirmó entonces que las obras estarían finalizadas en 1991 y que se crearían 140 plazas hoteleras (El Semanal, 15/12/89)

 

¿Por qué nunca se realizó este proyecto? ¿Por qué se fue arruinando poco a poco la Casa Arizón?

                                                                                                                                                  

Patio de la casa del siglo XVII

               

En estos años se hacen obras en Arizón. ¿Cuáles fueron estas obras? Al parecer, estas actuaciones consistieron presuntamente en el destejado de las cubiertas y en la apertura de socavones en el pavimento para descubrir los sótanos existentes. Obras que, muy lejos de conservar, aceleraron el proceso de degradación del inmueble e intensificaron su arruinamiento por los agentes atmosféricos.

 

 
 

 

También por este tiempo se derrumban los más antiguos almacenes de Arizón, fechados en el siglo XVII, que antes y durante la compra se hallaban alquilados a un marmolista. Esta pieza de Arizón era una de las más interesantes, entre las dependencias industriales y única en Sanlúcar. Estructurada mediante una sucesión de arcos de medio punto, la cubierta estaba compuesta por bóvedas de arista en cada tramo, que recaían sobre pilares de ladrillo.

Esta parte del Conjunto se hallaba en buen estado de conservación, por lo que era casi imposible que aquellas bóvedas pudieran venirse abajo, después de tres siglos en pie, sin "ayuda externa". Ante la alarma suscitada, la propiedad llegó a culpar del derrumbe incluso al inquilino. 

 

 

 

1991 -  Tamames y Casa Grande Arizón

desaprovechan una subvención de más de un millón de euros

 

Tras la compra de 1989 Ramón Tamames y sus socios se dieron prisa en solicitar una gran subvención.

A principios de 1991 fue concedida una subvención a la empresa "Casa Grande Arizón" por el Ministerio de Hacienda, en concepto de "Incentivos económicos regionales". La cuantía fue de más de un millón de euros (166.590.540 pesetas) y conllevaba el compromiso de dar empleo a 58 trabajadores.

¿Qué pasó con esta millonaria subvención, Sr. Tamames y Cía.?

¿Por qué no se invirtió en la restauración de la Casa Arizón?

Documentación

(BOE 4 de enero de 1991)

 

1994 - El Ayuntamiento aprueba una Moción de IU-CA para expropiar la Casa Arizón

 

 

El 31 de enero de 1994 el Ayuntamiento Pleno, en sesión ordinaria, aprobó por Unanimidad una Moción presentada por IU-CA -siendo el portavoz de este grupo municipal Alfredo Barragán Díaz-, la cual se fundamentaba en el estado de abandono del palacio y en el Art. 37.3 de la Ley de Patrimonio Histórico Español (1981):

"Será causa justificativa de interés social para la expropiación por la Administración competente de los bienes afectados por una declaración de interés cultural el peligro de destrucción o deterioro, o un uso incompatible con sus valores. Podrán expropiarse por igual causa los inmuebles que impidan o perturben la contemplación de los bienes afectados por la declaración de interés cultural o den lugar a riesgos para los mismos. Los Municipios podrán acordar también la expropiación de tales bienes notificando previamente este propósito a la Administración competente, que tendrá prioridad en el ejercicio de esta potestad"

Esta moción fue informada favorablemente por la Comisión Informativa de Urbanismo. Se adoptó entonces el acuerdo municipal de iniciar el expediente de expropiación y realizar las gestiones pertinentes, ante la Junta de Andalucía, para conseguir las subvenciones necesarias a fin de sufragar la expropiación y posterior restauración.

 

En consecuencia, el Ayuntamiento de Sanlúcar, siendo Alcalde Manuel Vital Gordillo, acordó el 31 de enero de 1994 "instar a la Consejería de Cultura de la Junta de Andalucía para que impulse y culmine la tramitación del expediente de Declaración de Bien de Interés Cultural de la Casa del Marqués de Arizón, así como que dado el peligro de deterioro de un edificio tan singular, tome las medidas oportunas y garantice, mediante la expropiación del mismo si fuese necesario, la conservación de uno de los edificios civiles más importantes de que dispone el municipio de Sanlúcar de Barrameda y pueda rehabilitarse el mismo con cargo al Programa de Desarrollo Sostenible del Entorno de Doñana y siguiendo el Informe de la Comisión Internacional de Expertos".

 

A pesar de tanto acuerdo municipal, nada se hizo en Casa Arizón.

 

1994 - Asistentes al Encuentro-Homenaje a Velázquez-Gaztelu

solicitan la restauración de Arizón

 

Seis años después de la compra de Arizón, en 1994, durante la celebración del Encuentro Sanlúcar de Barrameda en la corriente de la Ilustración, en homenaje al historiador Velázquez‑Gaztelu, que fue celebrado en el IES Francisco Pacheco (7‑11 febrero-1994), cincuenta asistentes y ponentes firmaron una CONCLUSIÓN-PROPUESTA, la cual fue enviada por el Director del IES al Ayuntamiento junto a las 50 FIRMAS. En este escrito se instaba a los responsables municipales a realizar las gestiones necesarias para que se ejecutasen obras de urgencia en el Palacio Arizón, al objeto de frenar el estado de deterioro que estaba padeciendo este Conjunto Monumental.

Nota: Por razones de privacidad no aparecen las firmas y DNI que acompañan al documento.

Suma y sigue... y en 2007 la entonces Alcaldesa de Sanlúcar, Laura Seco, se atrevió a decir que en estos 17 años "nadie" se había preocupado de Arizón...

 

 

Durante los años 90 el Conjunto Arizón queda abandonado por sus propietarios. La finca se convierte en refugio de drogodependientes. Se suceden los incendios. Y la edificación se va deteriorando... Sólo algunas voces se escuchan en favor de su rehabilitación, especialmente la de IU, luego IU-CA.

 

1995: Incendio en Arizón. Indignación de IU   (Diario de Cádiz, 25-10-95)

1998: Nuevo incendio intencionado en Arizón (Diario de Cádiz, 08-09-98)

 

 

1995: Arizón se convierte en un "chutadero"

(Diario de Cádiz, 06-11-95)

   
 

 

1997 - El nuevo PGOU de Sanlúcar protege la Casa Arizón con el máximo nivel "A" o Protección Integral

 

 

1999 - Estado de los Compromisos contraídos entre el Ayuntamiento de Sanlúcar y la empresa "Casa Grande Arizón"

 

Consejo Ordinario de la Gerencia Municipal de Urbanismo

de 12 de noviembre de 1999

ASUNTO Nº 2: DACIÓN DE CUENTA POR PARTE DE LA VICEPRESIDENCIA DEL ESTADO DE TRAMITACIÓN DE DIVERSOS EXPEDIENTES DE ESTA G.M.U.

El Sr. Presidente da la palabra al Dtor. del Dpto. de Planeamiento y Gestión, D. José María de la Cuadra Durán, el cual pone en conocimiento de los miembros del Consejo el estado de tramitación de diversos expedientes, que son:

6

Casa Arizón
Compromisos Municipales
  1. Calificar como espacio libre la delantera del Palacio con el objeto de mejorar la visualización del mismo y construir un aparcamiento. Cumplimentado
  2. Sacar una concesión administrativa. Pendiente
  3. Calificar una parcela de 12.960 m² para balneario en las piletas. Cumplimentado
  4. Sacar una concesión administrativa. Pendiente.
Compromisos de la Empresa
  1. Presentar proyecto de rehabilitación completa de la Casa Arizón. Con fecha 19/03/98 fue presentado proyecto básico, que remitido a la Delegación provincial de Cultura, se aprobó por esta con fecha 05/06/98 , solicitando una mayor definición en el proyecto de ejecución.

    Solicitada y reiterada a la empresa dicha solicitud se está a la espera de que nos lo presente

  2. Terminar las obras de rehabilitación en el plazo de 3 años a partir de la concesión de la licencia (No está concedida)
  3. Concurrir a la licitación de la concesión administrativa del aparcamiento público. Pendiente.
  4. Concurrir a la licitación de la concesión administrativa del Balneario. Pendiente.
  5. Abrir el Hotel instalada en la Casa arizón en el plazo máximo de 4 años desde la aprobación definitiva del P.G.O.U. (cumple 5/6/2001)

Fuente: http://www.gmusanlucar.es/Consejos/CG_12_11_1999.htm

 

 

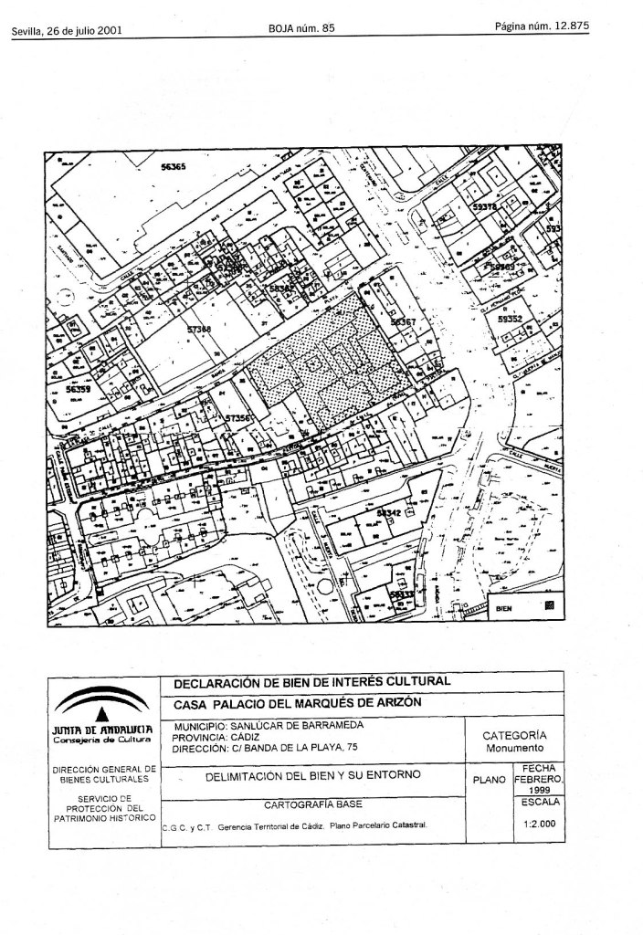
2001 - La Casa Arizón es declarada Bien de Interés Cultural  (B.I.C.)

con categoría de Monumento

A instancias del Ayuntamiento de Sanlúcar –inicio del Expediente en 1988 por la Delegación de Cultura-, en 2001 la Casa Arizón fue declarada Bien de Interés Cultural (B.I.C.) con Categoría de Monumento

http://www.boe.es/g/es/bases_datos/doc.php?coleccion=indilex&id=2001/15983&txtlen=116

 

Delimitación del Conjunto Arizón

Superficie: 5.390 m2

Portada del antiguo Apeadero. Siglo XVII.

 
 

2002 - Aula Gerión denuncia el estado de la Casa Arízón

 

 

Con el cambio de década y la declaración del Conjunto Arizón como Bien de Interés Cultural (2001) la situación del inmueble se hace insostenible.

En 2002 la revitalizada asociación cultural Aula Gerión denuncia el abandono del Conjunto en los medios de comunicación y en la Consejería de Cultura. En este comunicado, el Aula se adelantaba ya a la posible construcción de esos dúplex que se anuncian hoy en Arizón.

En enero de 2003 Aula Gerión recoge en la Plaza del Cabildo más de mil firmas de sanluqueñ@s que reclaman la restauración de Casa Arizón. Todas estas firmas fueron entregadas, con la correspondiente denuncia, en el Ayuntamiento de Sanlúcar y en la Delegación Provincial de la Consejería de Cultura en Cádiz (Ver DENUNCIA )

 

2000 - La GMU de Sanlúcar paga una factura por derribar un muro en Arizón

 

 

Consejo de la Gerencia Municipal de Urbanismo de 14 de enero de 2000

"ASUNTO "URGENCIA F": APROBACION DE FACTURA 214/99 DE LA MERCANTIL AGUSTIN BERNAL, S.L. RELATIVA OBRAS CORRESPONDIENTES A EJECUCION SUBSIDIARIA DICTADA CONTRA CASA ARIZON, S.L., SOBRE FINCA SITA EN CALLE DIVINA PASTORA ("CASA ARIZON").

UNICO: Aprobar la factura nº 214/99 de 30.11.99, presentada por la mercantil Agustín Bernal, S.L., con C.I.F.: B-11268554, y relativa a la demolición con medios manuales y maquinaria y retirada de escombros a vertedero de muro en Casa Marqués de Arizón, sita en C/ Banda Playa, propiedad de Casa Arizón, S.L., por importe de SETECIENTAS SESENTA Y CINCO MIL SEISCIENTAS (765.600.-) PESETAS (4.601,35 EUROS)"

¿ Qué muro fue derribado en Arizón ?

Fuente: http://www.gmusanlucar.es/Consejos/CG_14_1_2000.htm

 

2003 - La empresa presenta otro Proyecto de rehabilitación para Hotel-Balneario

 

 

En 2003 la empresa Casa Grande Arizón, S.A. presenta otro proyecto de rehabilitación para Hotel Balneario, o quizás ¿era el mismo que presentó doce años atrás?

La empresa cuenta ahora con el pleno apoyo de la Alcaldía y el Ayuntamiento (PP) de Sanlúcar, que prometen una licencia de obras para el mes de abril.

Además, a la empresa propietaria se une ahora un nuevo socio, bien conocido en Sanlúcar, que aparece como accionista. Se trata de TENFA, la promotora de "Sanlúcar Club de Campo" que, liderada por el Príncipe Alfonso de Hohenlohe, logró construir un complejo urbanístico y campo de golf en la zona verde de la loma de "Martín Miguel" -Entorno de Doñana- en contra de una buena parte de la opinión pública sanluqueña. En la propia Casa Arizón se adecenta escasamente la fachada y TENFA abre una oficina, que cierra meses después.

La Comisión de Patrimonio de la Delegación Provincial de Cultura aprueba el proyecto de rehabilitación. Pero antes, técnicos de la Delegación Provincial de Cultura visitan el Conjunto Arizón y determinan que se han de realizar obras "imprescindibles" con carácter de urgencia, como el "refuerzo de la estructura y la conservación de las cubiertas" para detener el acelerado proceso de deterioro (Sanlúcar Información, 29/03/2003)

En mayo de 2003 la Junta de Andalucía otorga el plazo de un mes a Casa Grande Arizón para que presente el proyecto de obras de consolidación, como medida de urgencia a realizar para frenar el deterioro del Monumento (Sanlúcar Información, 10/05/03)

Pasa aquel plazo de un mes, y dos, y diez... más de un año sin tener noticias de Arizón. A finales de 2004 la Delegación Provincial de Cultura -Bibiana Aído- muestra su predisposición a hacerse cargo de las obras de forma subsidiaria (Diario de Cádiz, 16/11/04)

Pero, a pesar de todo este lío, NO SE HACE NADA, NI HOTEL, NI OBRAS DE URGENCIA, NI NADA DE NADA. Y el Monumento sanluqueño continúa su deterioro.

Muy interesante es la carta que nos envía en 2003 Letizia Arbeteta Mira, prestigiosa historiadora y miembro de la familia Arizón, sobre la Casa Arizón (Ver en Opinión)

 

 

2005 - Se "rehabilita" la torre-mirador

 

La empresa Casa Grande Arizón, S. A. “rehabilita" la preciosa torre-mirador con nefastos criterios. Bajo el nuevo enfoscado se ha perdido para siempre la decoración incisa y las huellas de las pinturas murales originales preexistentes, según recoge el expediente para la declaración de B.I.C.: “la geométrica decoración pictórica blanca y almagra, bordeadas con incisiones continuas formando festones”, que decoraba los lienzos de la torre. Este expediente se localiza en la Delegación Provincial de Cultura de Cádiz.

 

2006 - Nuevo Proyecto de Hotel y Viviendas en Arizón

 

Diecisiete años después de su adquisición, en octubre de 2006, Javier Olaciregui anuncia en prensa la próxima ejecución de un proyecto en el Conjunto Monumental de Arizón, donde se contempla la creación de un “Hotel con encanto” y 67 duplex para su explotación en régimen de alquiler. Sin embargo, la realidad era distinta a lo que se publicó en prensa.

> Sanlúcar Información (30/09/06) (1) (2)

> Sanlúcar Información (28/10/06) (1) (2)

 

   

 Fachada Casa del siglo XVIII

     

 

2006 / 2007 - Aprobación del Proyecto de más de 80 viviendas en Arizón

 

 

La Delegación Provincial de Cultura y el Ayuntamiento de Sanlúcar aprueban el Proyecto Básico de Casa Arizón

22.junio.06: La Comisión Provincial de Patrimonio de la Delegación Provincial de Cultura de Cádiz informa favorablemente el Proyecto Básico sobre "Rehabilitación y Mantenimiento" del palacio Arizón presentado por Javier Olaciregui para edificar más de 80 viviendas en el palacio Arizón. El dictamen de la Comisión fue refrendado por la Delegada Provincial de Cultura, Bibiana Aído Almagro, actual Ministra de Igualdad.

 

30.junio.06: La empresa Casa Grande Arizón, S.A. presenta en la Gerencia de Urbanismo de Sanlúcar solicitud de Licencia de "Rehabilitación" de la Casa Arizón.

 

22.diciembre.06: El arquitecto del Departamento de Licencia y Disciplina de la Gerencia de Urbanismo de Sanlúcar realiza un Informe favorable sobre el proyecto.

 

03.enero.07: se emite un Informe Técnico de gestión sobre el "exceso de aprovechamientos urbanísticos" generados en el expediente.

 

11.enero.07: la empresa presenta escrito de alegaciones sobre el "exceso de aprovechamientos urbanísticos"

 

23.enero.07: El arquitecto del Departamento de Licencia y Disciplina de la Gerencia de Urbanismo de Sanlúcar realiza un "nuevo Informe favorable" sobre el proyecto.

 

23.enero.07: se emite propuesta de liquidación, a efecto de tasa e impuesto de construcciones, instalaciones y obras, resultando a pagar por la empresa la cantidad de 160.243,17 € en concepto de ICIO.

 

25.enero.07: Rafael Rubio, Delegado de Urbanismo del Ayuntamiento de Sanlúcar, concede licencia de "Rehabilitación" de la Casa Arizón, que cuenta con un presupuesto de 7.283.605 € y un plazo máximo de ejecución de 24 meses. Las obras no podrán comenzar hasta que no se obtenga el permiso de inicio de obras, para lo que la empresa deberá entregar en la Gerencia la documentación referida al estudio de seguridad, instalación de grúa y "Escritura de Obra Nueva y División Horizontal".

Sorprende que en todo este texto referido a la licencia al Proyecto Básico no se consigna la Declaración de Bien de Interés Cultural que posee la Casa Arizón desde 2001, sino que tan sólo se alude a la incoación para su Declaración de 1989. Tampoco se alude a la prescripción de realizar catas arqueológicas en la finca, tal como se reglamenta en el PGOU.

 

Hispania Nostra incluye el palacio Arizón en la Lista Roja del Patrimonio Español

 

 

La prestigiosa asociación Hispania Nostra incluye en su LISTA ROJA DEL PATRIMONIO ESPAÑOL el palacio Arizón de Sanlúcar, debido al estado de abandono e inminente peligro de desaparición de este importante monumento andaluz.

 

2007 - Cadena Humana en Casa Arizón

 

 

 

11.febrero.07: Ante la inminente realización de más de 80 viviendas en Arizón, Aula Gerión convoca un acción ciudadana de protesta, consistente en una simbólica Cadena Humana en torno al palacio Arizón. Asistieron más de trescientas personas y representantes de todos los partidos políticos en la oposición. También asiste la entonces Diputada Provincial de Cultura, Irene García Macías, actual Alcaldesa de Sanlúcar. La acción fue refrendada por varios colectivos ciudadanos, sindicalistas, vecinales y por Ecologistas en Acción.

Para finalizar el acto, se lee un LLAMAMIENTO PARA SALVAR ARIZÓN.

 

El PSOE-Sanlúcar emite un Comunicado institucional animando a los sanluqueños a participar en la Cadena Humana.

 

En Sanlúcar Información (27/01/07)

En La Voz (12/02/07)

En Jerez Información (12/02/07)

En Diario de Cádiz (12/02/07)

En Sanlúcar Información (17/02/07)

 

2007 - Presentación pública del Proyecto de viviendas en Arizón

 

 

De izquierda a derecha, José Gómez Villegas, Laura Seco, Javier Olaciregui y la restauradora de la torre-mirador

 

12.febrero.07: Un día después de la Cadena Humana, se presenta públicamente, en el Hotel Guadalquivir de Sanlúcar, el nuevo proyecto de viviendas a ejecutar en Casa Arizón. Lo publicado en la prensa, en octubre-2006, no se ajustaba a la realidad. En el proyecto no hay hotel con encanto. En la casa del siglo XVIII se plantean 22 apartamentos turísticos y en el resto del Conjunto se proyecta una plaga de pisos. En total, más de 80 viviendas. Con ello desaparecerán las estructuras originales de las dos zonas residenciales, además de los almacenes y bodegas que aún están en pié y forman parte igualmente del Bien de Interés Cultural.

 

La todavía entonces Alcaldesa, Laura Seco (PP), que acompañó a la empresa en la presentación del este gran proyecto inmobiliario privado, afirmó en este acto que el Ayuntamiento había otorgado licencia al Proyecto Básico presentado por la empresa el día 7 de febrero de 2007.

 

 

Durante el acto de presentación el Aula Gerión y un grupo de manifestantes protestan a las puertas del Hotel para reivindicar que no se hagan viviendas en Casa Arizón. La Alcaldesa llama "terroristas" a los manifestantes.

 

El nuevo Proyecto de Viviendas en Sanlúcar Información, 17/02/07

 

Aula Gerión denuncia en el Juzgado el caso Arizón

 

 

16.febrero.07: Días después de la presentación del proyecto de viviendas en Casa Arizón, el Aula Gerión denuncia en el Juzgado de Sanlúcar el caso del Palacio Arizón. El 16 de abril, el Presidente del Aula Gerión declara en el Juzgado Nº 1 de Sanlúcar sobre el asunto Arizón.

 

Aula Gerión se reúne con la Delegada Provincial y con la nueva Alcaldesa de Sanlúcar

 

 

20.febrero.07: Varios miembros del Aula Gerión, junto a la entonces Diputada de Cultura, Irene García Macías (actual Alcaldesa de Sanlúcar) son recibidos por la Delegada Provincial de Cultura, Dolores Caballero (quien había dado el visto bueno al Proyecto Básico reformado). Al consultar el proyecto, se puede constatar que no se contempla ningún hotel, sino más de 80 pisos y apartamentos turísticos y lo que parece ser un exceso de edificabilidad.

03.octubre.07: Aula Gerión mantiene una Reunión con la nueva Alcaldesa de Sanlúcar (desde las elecciones municipales de mayo-2007), Irene García Macías (PSOE), y la nueva Gerente de Urbanismo, Mónica González Pezi, donde se nos informa que se están manteniendo conversaciones con la empresa “Casa Grande Arizón”, sin más detalles.

22.octubre.07: Aula Gerión solicita a la Gerencia de Urbanismo de Sanlúcar copia del expediente de licencia de obras de la Casa Arizón. Esta información no fue facilitada. El expediente no se pudo consultar en la Gerencia hasta mayo de 2009.

 

2008 - Campaña "Salvemos Arizón"

 

 

Ante la falta de respuestas, por parte del Ayuntamiento de Sanlúcar, Consejería de Cultura de la Junta de Andalucía y Juzgado, el Aula Gerión pone en marcha la Campaña “Salvemos Arizón”, que se inició el 22 de enero de 2008, habiéndose recogido mas de 4.500 firmas y adhesiones para salvar el Monumento. Aún, en agosto de 2009, continúan llegando adhesiones por correo electrónico que se siguen sumando a la oposición pública para impedir que se destruya el Conjunto Monumental Casa Arizón.

 

 

CAMPAÑA "SALVEMOS ARIZÓN"

 

PETICIÓN PÚBLICA

 

VER ADHESIONES

 

¡ ARIZÓN NO PUEDE ESPERAR !

NOSOTROS TAMPOCO

 

 

 Leer Comentarios 

 

   Seguimiento de la Campaña

 

 

 2009: La Delegación Provincial de Cultura y el Ayuntamiento de Sanlúcar aprueban el Proyecto de Ejecución para convertir la Casa Arizón en un hotel de 30 habitaciones, 52 pisos y 11 locales comerciales.

 

 

COMIENZAN LAS OBRAS DE VIVIENDAS EN EL MONUMENTO CASA ARIZÓN 

                           (Comunicado de prensa de Aula Gerión, 27/03/09)

 

Aprueban el proyecto de viviendas en Casa Arizón (Información Sanlúcar, 03/04/2009) Este proyecto altera sustancialmente la unidad y monumentalidad del Bien de Interés Cultural.

 

La Alcaldesa aprueba la destrucción de Casa Arizón. La Gerencia de Urbanismo informa mal y tarde a la Justicia sobre el Asunto Arizón (Comunicado de prensa de Aula Gerión, 12/05/09) 

 

Aula Gerión alerta ante la posible pérdida de materiales nobles y denuncia la restauración incorrecta de Casa Arizón (Comunicado de prensa de Aula Gerión, 05/08/09)

 

Elementos no estructurales del Conjunto Monumental Casa Arizón, que forman parte integrante del B.I.C. y poseen igual protección integral.

 

El Proyecto de destrucción de Casa Arizón (reformado respecto al aprobado en 2007): Un enjambre de 52 pisos, 11 locales comerciales y un hotel de 30 habitaciones (IMÁGENES DEL PROYECTO)

 

AULA GERIÓN SOLICITA AL JUZGADO LA PARALIZACIÓN DE LAS OBRAS EN CASA ARIZÓN (Comunicado de prensa Aula Gerión, 18/08/09)

 

Admitida a trámite la querella contra la Alcaldesa de Sanlúcar de Barrameda por un delito contra el Patrimonio (Comunicado de prensa, 08/09/09)

 

El Juzgado acuerda practicar un peritaje judicial en Casa Arizón (Comunicado de prensa 05/10/09)

 

 

Ir a Índice de temas sobre Casa Arizón

 

 

 

Reportaje Fotográfico

 

   
   

 

Casa Siglo XVIII. Fachada lateral izquierda

 

Casa Siglo XVIII. Fachada principal.

 

Casa Siglo XVIII. Interior del ático.

 

Casa Siglo XVIII. Exterior del ático hacia el patio.

Casa Siglo XVIII. Patio principal.

 

Casa Siglo XVIII. Patio principal.

 

Casa Siglo XVII. Fachada.

 

Casa Siglo XVII. Patio principal.

© josemanuelfranco

 

Casa Siglo XVII. Crujía de fachada.

 

Casa Siglo XVII. Sótano bajo la crujía de fachada.

© josemanuelfranco

 

 

Galería subterránea bajo los almacenes del siglo XVII

© josemanuelfranco

 

Almacenes del siglo XVII

 

Bodega del Siglo XVIII. Próxima conversión en dos plantas de pisos más ático.

 

 

Bodega del Siglo XVIII.Próxima conversión en dos plantas de pisos más ático.

© josemanuelfranco

 

Almacenes. Siglo XVIII. Próxima conversión en locales comerciales en planta baja y dos plantas de pisos superiores.

 

Almacenes del Siglo XVIII. Próxima conversión en locales en planta baja y dos plantas de pisos superiores.

© josemanuelfranco

  Vista del torreón. Bodega del siglo XVIII. Galería de arcos de los almacenes del siglo XVII y entrada a la galería subterránea. Todo se convertirá en pisos

© josemanuelfranco

 
 

 


 

Ver Historia y Arquitectura - Más Fotos

 

Índice de temas sobre Casa Arizón

 


 

Volver